laSexta

El huracán Melissa, la tormenta más fuerte del año, azota Jamaica, República Dominicana y Haití y amenaza a Cuba

El huracán Melissa, la tormenta más fuerte del año, azota Jamaica, República Dominicana y Haití y amenaza a Cuba
Avatar
  • Publishedoctubre 28, 2025



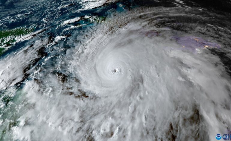
Jamaica espera el Huracán Melissacategoría 5, que se espera que entre en contacto con la isla en la madrugada de este martes, donde ya ha provocado cortes electricosefectos que también se han sentido en República Dominicana y Haití y que tienen en alerta al sur de Cuba.

Según la última alerta del Centro Nacional de Huracanes (NHC) de EE.UU., Melissa se encuentra a unos 240 kilómetros al sureste de Kingston, la capital de Jamaica. con vientos máximos sostenidos de 280 kilómetros por hora, y avanza a unos cuatro kilómetros por hora hacia el noreste, convirtiéndose en la tormenta más fuerte en lo que va del año.

El Gobierno de Jamaica informó el lunes por la noche que tres personas murieron y 13 resultaron heridas durante los preparativos para el impacto del huracán. Además, cerca de 50.000 personas se quedan sin electricidadla mayoría en el extremo occidental de la isla, mientras que cada vez más personas se dirigen al 881 refugios habilitado por las autoridades.

Evan Thompson-Meadows, director de la oficina meteorológica de Jamaica, pronosticó que «las zonas más afectadas por las lluvias más intensas serán principalmente las del centro y el este».

«Estamos hablando de algunos 750 milímetros de lluvia. Ni siquiera estoy seguro de que nuestros pluviómetros sean capaces de medir esa cantidad», afirmó. El primer ministro de Jamaica, Andrew Holness, aseguró que el Gobierno tiene un plan multifacético para llevar a cabo una respuesta «rápida y eficaz» al inminente impacto de Melissa. «Aunque debemos prepararnos para lo peor, oremos también por lo mejor», deseó.

Cuba se prepara para lo peor

Cuba espera que el potente huracán cause inundaciones en Santiago y toda la costa sur del tercio oriental de la isla a partir de mañana. Se espera que Melissa se debilite un poco a su paso por Jamaica y luego se intensifique nuevamente antes de tocar territorio cubano el miércoles temprano.

Uno de los efectos del intenso huracán serán los fuertes marejadas en los mares al sur de las provincias de Granma, Santiago de Cuba y Guantánamo, que generarán ligeras inundaciones en zonas bajas de esta costa, además de las intensas precipitaciones que se esperan en el tercio oriental del país, especialmente peligrosas en zonas montañosas por el riesgo de inundaciones y deslizamientos de tierra.

Por su parte, el Gobierno de Bahamas emitió este lunes una orden formal de evacuación para los residentes de municipios ubicados en el sureste del país caribeño, ante la llegada del huracán, que se espera que comience a afectar la madrugada del martes y que las condiciones empeoren a lo largo del miércoles.

Naciones Unidas ya prepara ayuda

La isla Hispaniola, donde conviven Haití y República Dominicana, viene sintiendo los efectos de Melissa desde el 23 de octubre. Más de 2.000 personas en Haití han sido alojadas en escuelas, que sirven como refugios, donde hay necesidades inmediatas de agua potable, saneamiento y asistencia alimentaria.

Al menos tres personas han muerto en Haití y 16 han resultado heridas; 10 viviendas resultaron dañadas y 450 viviendas inundadas durante el paso de Melissa por Haití, según el último balance informado este domingo por la Dirección de Protección Civil (DPC). En República Dominicana un millón de personas permanecen sin agua potable como consecuencia de las precipitaciones provocadas por el huracán, que seguirán generando importantes lluvias en los próximos días. La tormenta dejó una persona muerta y obligó a 3.785 personas a abandonar sus hogares.

Naciones Unidas informó este lunes sobre la activación de su mecanismo de Acción Anticipada ante el próximo impacto del huracán Melissa en Cuba, con el que planea distribuir más de 100 toneladas de arroz y materiales de emergencia. El Programa Mundial de Alimentos (PMA) estima que más de 1,7 millones de personas necesitarían ayuda urgente, al menos 720.000 tanto en Jamaica como en Haití y unas 275.000 en Cuba.

*Seguir laSexta en Google. Todas las novedades y el mejor contenido aquí.



Puedes consultar la fuente de este artículo aquí

Compartir esta noticia en: